REQUEST A TOUR If you would like to see this home without being there in person, select the "Virtual Tour" option and your agent will contact you to discuss available opportunities.
In-PersonVirtual Tour

$ 299,000
Est. payment | /mo
2.47 Acres Lot
$ 299,000
Est. payment | /mo
2.47 Acres Lot
Key Details
Property Type Vacant Land
Sub Type Lots/Land
Listing Status Active
Purchase Type For Sale
MLS Listing ID GD25261171
Lot Size 2.473 Acres
Property Sub-Type Lots/Land
Property Description
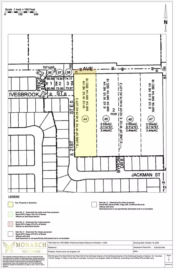
Vacant lot in East Lancaster neighborhood! Surrounded by single family homes and businesses. Public transportation and easy access to utilities available. Land is located across from the E Ave I & 20th St E bus stop, and bordered by E Ivesbrook St, 21st St E and Jackman Street. Frontage is on city street E Avenue I. Single family homes within .5 miles of this lot sold for an average of $485,000 or $245/sf. You can get this land for $2.70/sf. Rectangular lot size is 107,729sf (2.47 acres). Zoning LRD21* Residential - Vacant Land. APN: 3150-023-044
Location
State CA
County Los Angeles
Direction Use 2091-2059 E Avenue I, Lancaster, CA 93535 for driving directions. Rectangular lot bordered by E Ivesbrook St, 21st St E and
Interior
Fireplace No
Exterior
Utilities Available Electric, N/K
View Y/N No
Present Use Unimproved
Others
Senior Community No
Tax ID 3150023044
Acceptable Financing Cash, Conventional
Listing Terms Cash, Conventional

Listed by Sammy Lyon Dow Capital
GET MORE INFORMATION

Ryan Main
Partner | Lic# 1980609






